Gobierno cubano prioriza salvaguarda de personas ante Melissa
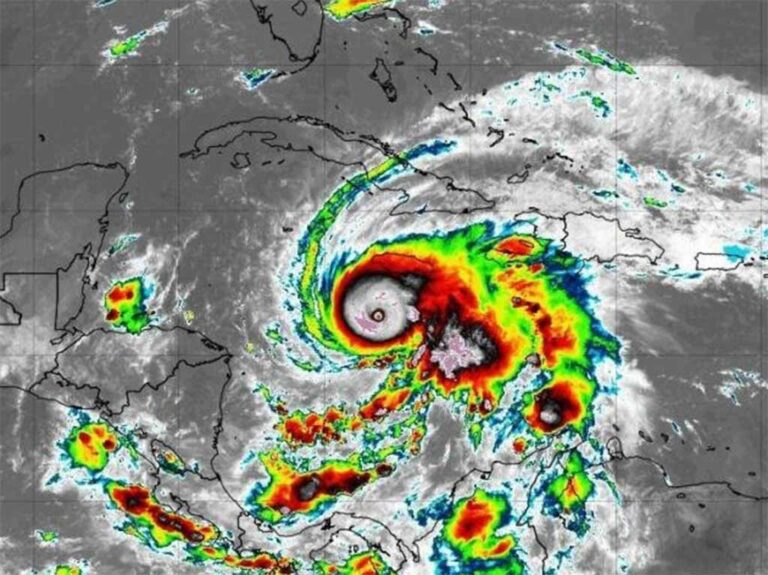
La Habana, 28 oct (Prensa Latina) Ante la inminente llegada del huracán Melissa, el gobierno cubano despliega hoy un operativo preventivo en todo el oriente del país, centrado en la protección de la vida humana y la garantía de servicios esenciales.
Copia y pega esta URL en tu sitio WordPress para incrustarlo
Copia y pega este código en tu sitio para incrustarlo