La estrategia se ejecuta de forma coordinada entre los Consejos de Defensa a todos los niveles, con apoyo logístico y técnico de organismos estatales e internacionales.
En este contexto, la provincia de Holguín prioriza la continuidad del servicio de telecomunicaciones, considerado vital para la difusión oportuna de alertas y orientaciones a la población.
Según informó a la Agencia Cubana de Noticias (ACN) el director territorial de la Empresa de Telecomunicaciones, Luis Arnolis Reyes, se han movilizado brigadas hacia zonas de difícil acceso, en particular Moa, la región más aislada del este holguinero.
Además, dos brigadas especializadas provenientes de Camagüey reforzarán el mantenimiento de radiobases móviles.
Mientras tanto, en Granma, el municipio de Niquero avanza en la implementación de medidas preventivas ante los riesgos asociados a la proximidad del mar.
El vicepresidente del Consejo de Defensa Municipal, Fernando López, señaló que las comunidades Urbano-Norte y Urbano-Sur son especialmente vulnerables a la penetración del mar por el aumento del oleaje y del nivel del agua.
La evacuación preventiva también avanza con celeridad en Guantánamo, donde ya han sido trasladadas más de 13 mil personas provenientes de comunidades vulnerables al fenómeno meteorológico.
Santiago de Cuba, por su parte, refuerza labores de poda, limpieza de vías y desobstrucción de alcantarillas mientras las condiciones meteorológicas lo permitan.
Este esfuerzo nacional cuenta con el respaldo del Sistema de Naciones Unidas en Cuba, que activó su mecanismo de Acción Anticipatoria y movilizó más de 100 toneladas de arroz, kits de higiene, lonas, generadores eléctricos y plantas potabilizadoras para apoyar la respuesta en los territorios más expuestos.
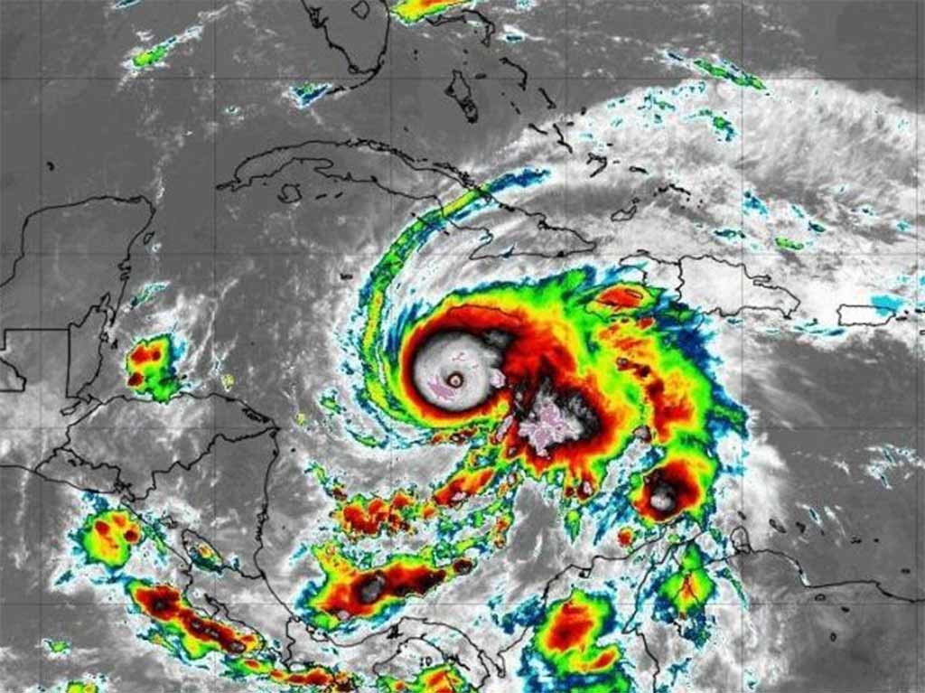
Con el ojo de Melissa proyectado para tocar tierra en la madrugada del miércoles en algún punto de la costa suroriental, las autoridades reiteran que la prioridad absoluta sigue siendo la protección de la vida humana, en coherencia con el principio rector que ha guiado la política de reducción de desastres en Cuba durante décadas.
El huracán, de categoría 5 en la escala Saffir-Simpson, registra vientos sostenidos de 280 km/h y rachas superiores a los 300 km/h.
lam/mks













