
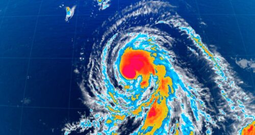
Huracán Kirk continúa fortaleciéndose en marcha por el Atlántico
La Habana, 2 oct (Prensa Latina) En su marcha por el Atlántico el huracán Kirk continúa fortaleciéndose y se espera que en las próximas 24 horas sea de gran intensidad, informó hoy el Instituto de Meteorología (Insmet) de Cuba.














