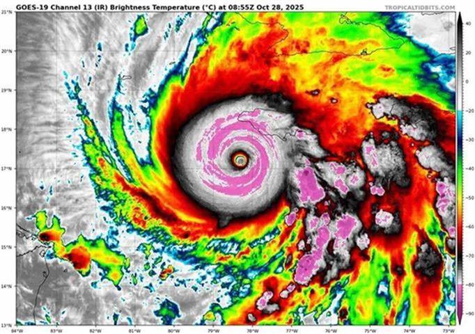
La relación es encabezada por el huracán Wilma, de octubre de 2005, con una presión mínima de 882 hPa, seguido de Gilbert (septiembre de 1988), que tuvo 888 hPa, según publicó la edición digital del diario Granma.
Se ubica en tercer lugar el conocido en la historia como Huracán del Día del Trabajo (septiembre de 1935), cuyo valor de presión mínima fue de 892 hPa, igualado ahora por Melissa.
Otros eventos de gran intensidad con presiones inferiores a los 900 hectoPascal son el Rita y el Milton (895) y el Allen, 899.
El centro del poderoso huracán Melissa, de categoría cinco en la escala Saffir-Simpson, penetró al mediodía de este martes por la costa sur de Jamaica, según informó el Centro de Pronósticos del Instituto de Meteorología de Cuba.
Melissa continúa moviéndose al norte-nordeste e incrementó ligeramente su velocidad de traslación a 15 kilómetros por hora y en las próximas 24 horas se espera que incline su trayectoria más hacia el nordeste, aumentando gradualmente su velocidad de traslación.
Durante la tarde–noche de este martes, este potente organismo ciclónico se aproximará a la costa sur de la región oriental de Cuba.
De acuerdo con los meteorólogos, Melissa se mantendrá como un huracán de gran intensidad a su paso por Cuba.
arc/abm













