
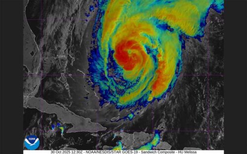
Huracán Melissa con poco cambio en océano Atlántico occidental
Washington, 30 oct (Prensa Latina) El huracán Melissa continuó hoy su movimiento próximo al noreste sobre el océano Atlántico, con vientos máximos sostenidos de 165 kilómetros por hora, siendo un huracán categoría dos en la escala Saffir–Simpson.










