
Haití dice adiós a Beryl
Puerto Príncipe, 3 jul (Prensa Latina) Haití dijo adiós al huracán Beryl quien hasta hoy acaparó la atención de varias instituciones, las cuales establecieron sus medidas de seguridad y orientaron a la población.

Puerto Príncipe, 3 jul (Prensa Latina) Haití dijo adiós al huracán Beryl quien hasta hoy acaparó la atención de varias instituciones, las cuales establecieron sus medidas de seguridad y orientaron a la población.

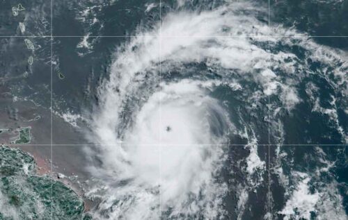
Puerto Príncipe, 1 jul (Prensa Latina) La estructura del huracán Beryl está evolucionando rápidamente con una rápida intensificación, de ahí que las autoridades haitianas siguen hoy de cerca al fenómeno meteorológico.

Puerto Príncipe, 1 jun (Prensa Latina) Haití vive desde hoy la temporada ciclónica 2024, la cual culminará el 30 de noviembre, y según los pronósticos promete ser hiperactiva.
Washington, 19 feb (Prensa Latina) Las temperaturas oceánicas inusualmente cálidas para esta época del año en el Atlántico Norte y la probabilidad de aparición del fenómeno climático La Niña, podrían amplificar la temporada de huracanes en el Atlántico, trascendió hoy.