
Kristy, convertida en huracán, se aleja de México
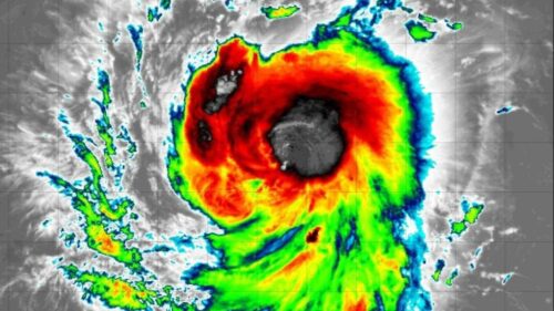
Ciudad de México, 22 oct (Prensa Latina) La tormenta tropical Kristy se convirtió hoy en huracán de categoría 1 en la escala Saffir-Simpson y continuará intensificándose mientras avanza hacia el oeste y se aleja de las costas de México, informó el Servicio Meteorológico Nacional.







